![]() |
| Ensin oli aamulla hyvä meno... |
![]() |
| ...ja hetkeä myöhemmin oltiin niin surkeaa pientä koiraa. |
Mutta mikä parasta, kipuilut loppuivat siihen, ja tänään on ollut taas menoa ja meininkiä - Ihan parhautta!
![]() |
| Toisenlainen selfie. Armaksen kitafie. |
Tässä videota, kun Armas tänään lihavan toukan kohtasi
https://www.facebook.com/sanna.huittinen/videos/vb.1237900126/10207606276055137/?type=3&theater
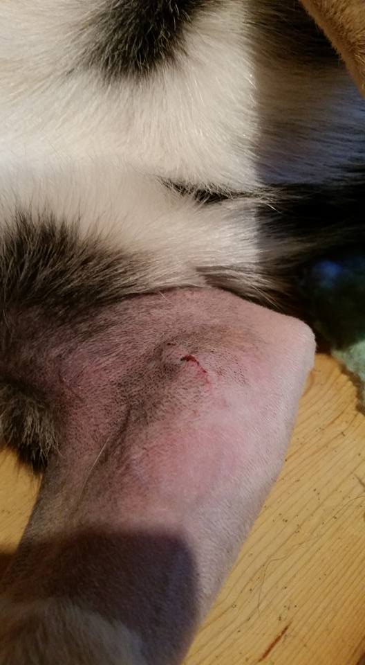
Tänään oli kuitenkin jännittävä päivä, sillä leikkauksesta alkaa olla viikko ja haavalapun sai poistaa. Alta paljastui hyvin siisti pieni haava, tai oikeammin kaksi pikkuruista haavaa. Vähän jännitti kun niin kauan haavalappua piti pitää, mutta ei siistimpää haavaa olisi voinut alta löytyä. Ja yllättävän hyvin teippaukset olivat pitäneet, oli meinaan vieläkin ihan kiitettävän lujaa kiinni.
Huldan kanssa on tullut vähän reipastuttua treenailujen saralla. Pakko ollut hyväksyä se, ettei ainakaan tällä hetkellä oma terveys kestä juosta agilityharjoituksia, joten on siirryttävä tokon ja rally-tokon pariin. Hulda onneksi tykkää kaikenlaisesta puuhailusta.
Aloin heti haaveilla saisko Huldan rally-tokoilut joulukuulle siihen jamaan, että voisi osallistua alokasluokkaan, mutta toisaalta mitä sitä kiirehtimään. Joulukuussa Hulda on vasta pari kuukautta yli sallitun osallistumisikärajan, joten jos nyt ihan rauhallisesti ottaisi, ja vaikka ennemmin joitakin möllikisoja katselisi vuodenvaihteeseen jos sellaisia sattuu lähiseudulle.
Hulda on aina ollut sellainen, että vaikka se tekee mielellään, niin sen mielestä semmoinen pieni hajurako olis kiva. Taidetaan siis treenailussa keskittyä nyt siihen, ja pyrkiä tekemään mm. tiiviisti seuraamisesta kivaa. Vielä se voisi onnistua, kun ei se osaa seurata vielä millään tavalla. Toisinsanoen en ole vielä ehtinyt pilata sitä. :D
Treenit on lopetettu yleensä avoimen luokan pyörähdys -liikkeeseen, koska jostain syystä se on Huldan mielestä hirmu hauska. :)
![]() |
| "Ohjaajan kulkiessa suoraan eteenpäin koira pyörähtää 360 astetta vasemmalle ohjaajan pysähtymättä. Pyörähdyksen jälkeen koira jatkaa seuraamista ohjaajan vasemmalla puolella." |






Ei kommentteja:
Lähetä kommentti